Carmela: dilatation aigue de l’estomac (météorisme)
chez une lapine âgée de 3 ans
Rachel
Ihlenfeldt and Barbara Schmeitz

MediRabbit.com est financé uniquement par la générosité de donateurs.
Chaque don, peu importe la somme, représente maroonune contribution
considérable et aidera à la poursuite de la recherche sur les maladies, les
soins, et la santé des lapins.
Merci
|
|
Les causes du
météorisme demeurent inconnues chez les lapins. Il est possible que cela soit
lié à de la « boulimie » pour un aliment particulier, une course
après un repas, un manque de fibre dans l’alimentation, un changement du
régime alimentaire, boire trop ou déshydratation, ou le stress. Des études
récentes faites sur des lapins morts de cette condition ont montré
l’existence de problèmes préexistant avant l’apparition de météorisme, comme
la présence de tissue nécrotique au niveau de l’ouverture de l’estomac et de
l’intestin grêle (pylore), la présence d’ulcère gastriques ou de saignements
au niveau de la paroi de l’estomac. Signes cliniques
Le lapin souffre
de douleurs extrêmes. Les indicateurs de douleurs sont des gémissements, des
grognements et/ou le grincement des dents. Un lapin peut prendre un objet
dans sa bouche et le mordre fortement. Un lapin qui souffre de météorisme est
souvent déshydraté et refuse de bouger ou de se nourrir. Il peut apparaitre
déprimé et reste assis dans une position voutée dans un seul endroit ou le
bac-à-chat. Certains lapin frappent leur abdomen fortement avec leur tête, à
l’endroit qui fait mal. D’autres souffrent de troubles respiratoires dus à la
compression des poumons par l’estomac distendu. La plupart des lapins
soufrant de météorisme sont hypothermiques. Diagnostic
Les meilleurs
outils pour diagnostiquer le météorisme incluent un examen physique
(palpation, abdomen gonflé et dur, hypothermie) et la prise de radiographies.
La pression exercée par l’estomac gonflé et distendu sur la circulation
sanguine et sur les organes internes met en danger la vie du lapin. Il est
donc impératif de stabiliser l’animal en lui administrant un traitement
contre le choc et l’hypothermie, ainsi que des analgésiques et des fluides
tièdes intraveineux (jamais sous-cutanés, car un l’hypothermie empêche
l’absorption des fluides sous-cutanés par le corps) avant de prendre des
radiographies de l’abdomen. Le météorisme
ne doit pas être confondu avec un effondrement cardiaque et un arrêt
cardiaque. En effet, le météorisme cause souvent ces problèmes
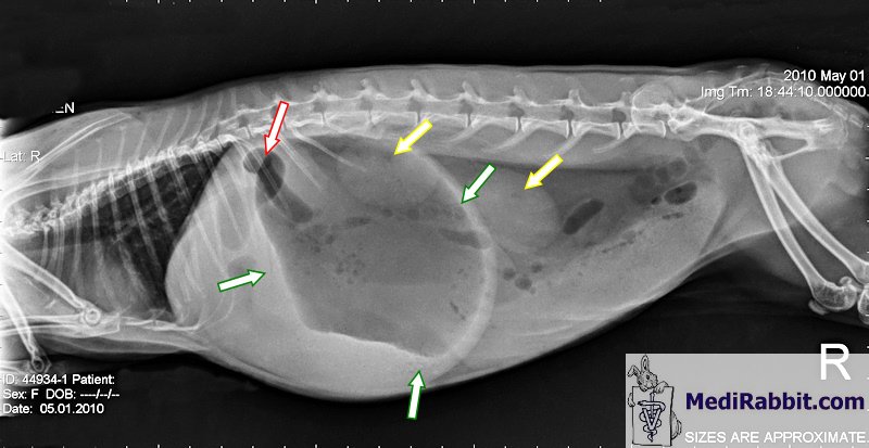
secondairement. Carmela,
sauvée d’un élevage de jardin amateur, avait environ 3 ans quand elle a
développé un météorisme aigu. Les radiographies suivantes ont été prises à
l’hôpital vétérinaire du Gulf Coast, environ 8 heures après que Carmela a été
intubée. Dans les deux radios, il est
possible de voir un estomac extrêmement distendu, qui compresse son cœur, ses
poumons et d’autres organes. Malgré les soins immédiats prodigués par des
vétérinaires compétents, Carmela n’a pas pu être aidée et a été endormie afin
de la soulager de ses douleurs.
Traitement
Le météorisme est
une situation critique. S’il est suspecté que le lapin souffre de météorisme,
indépendamment du fait qu’il soit hypothermique, toute nourriture doit être
enlevée afin de ne pas surcharger l’estomac distend et ne pas compromettre le
système digestif. Des soins vétérinaires
urgents sont nécessaires, donnée par un vétérinaire compétent en médecine des
lapins. Le pronostic reste malheureusement très limité et presque tous les
lapins affectés par ce terrible fléau meurent quelques heures à un jour après
le diagnostic. Les analgésiques stéroïdes, les médicaments contre un excès de
gaz intestinaux (par. ex. siméthicone) n’apportent que peu de réconfort. Des
analgésiques pas dangereux pour les lapins sont décrits ici. Mettre le
lapin sur son côté gauche en massant légèrement son abdomen en direction de
l’anus peut parfois aider. Quelques lapins ont été sauvés après avoir été intubé
avec un cathéter en caoutchouc et aspiration du gaz et du contenu de
l’estomac. La plupart sont néanmoins décédés 24 heures après le soulagement
de la pression dans leur estomac. Il arrive rarement que le l’intubation soit
difficile ou qu’il faille repositionner le cathéter après que ce dernier soit
bouché par les particules de nourriture. Ceci peut induire une stimulation
vagale avec inflammation des tissus au niveau de la gorge et causer la mort
du lapin. Remerciements
En mémoire de Carmela, qui a souffert d’un
épisode terrible de météorisme le 1er mai 2010. Un grand merci aussi à Esther van Praag, Ph.D. (Suisse) pour ses
informations médicales, à Debbie Hanson (USA) et au Gulf Coast
Veterinary Hospital (1111
West Loop South, Houston, Texas, USA) pour leur contribution et leur
permission d’utiliser les radiographies de Carmela. |
e-mail: info@medirabbit.com
